Add Alert Double Sided Single Page Go Back Add Favorite Edit
General Information
LZ Type: Airport
Coordinates:
(All the same)
N 37° 19' 32" x W 79° 58' 32"
37° 19.53' x -79° 58.53'
37.32547200 x -79.97541700
Picture(s):
FAA Nav ID: ROA
Address: 5202 Aviation Drive
Roanoke, VA 24012
Phone: (540) 362-1999
Comments: ARTCC: Washington Center
FSS: Leesburg Flight Service Station
Group Specific Info
Group Nav ID:
Comments:
Record Information
Last Update: Mar 18, 2022 1:27pm Charlotte Clark
Added By: Mar 18, 2022 1:27pm Charlotte Clark
Weather Stations
Loading from AviationWeather.gov
LZ Information
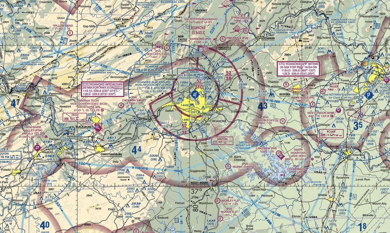
Location/Description: Three miles NW of Roanoke City. The airport has two runways, helicopter parking, public and private hangar parking and storage, terminal, and control tower currently staffed 24/7. UNICOM: 122.95 ATIS: 132.375 WX ASOS: PHONE 540-265-0680 ROANOKE GROUND: 121.9 257.8 ROANOKE TOWER: 118.3 257.8 ROANOKE APPROACH: 118.15 ;RWY 16/34 360-150, RWY 06 23 126.9 ;RWY 16/34 151-359, RWY 06 075 339.8 ;RWY 06, 16/34 ROANOKE DEPARTURE: 118.15 ;RWY 16/34 360-150, RWY 06 23 126.9 ;RWY 16/34 151-359, RWY 06 075 339.8 ;RWY 06, 16/34 CLEARANCE DELIVERY: 119.7 CLASS C: 118.15 ;RWY 16/34 360-150, RWY 06 23 126.9 ;RWY 16/34 151-359, RWY 06 075 339.8 ;RWY 06, 16/34 EMERG: 121.5 243.0 IC: 126.9 ;RWY 16/34 151-359, RWY 06 075 339.8 ;RWY 06, 16/34
Hazards:
Approach/Departure: VOR radial/distance VOR name Freq Var ODR at field WOODRUM VOR 114.90 08W ROAr107/4.7 ROANOKE VOR/DME 109.40 04W LYHr282/35.5 LYNCHBURG VOR/DME 109.20 05W PSKr074/38.0 PULASKI VORTAC 116.80 06W
AWOS: WX ASOS 540-265-0680
Nearest Fuel
Name Dist Bearing IFR
Lynchburg Regional Airport 37.0 116° ESE N
AWOS/ASOS: 434-239-0025
Nearest Specialty Centers
Name Dist Bearing Trauma Burn Ped Neuro
Carilion Roanoke Memorial Hospital 4.7 116° ESE 1 N Y Y
Carilion New River Valley Medical Center 29.1 116° ESE 3 N N Y
Comm Chan: 121.9 257.8
Dimensions:
Surface:
Elevation: 1175
Jet A Fuel: Yes
Nav Freq:
Max Weight:
Windsock: Yes, multiple
Lighting: SS-SR, Beacon
Instrument App: Yes